misc

Cards (178)

  • IMHA is an immune response which causes haemolysis of red blood cells. Predisposed breeds include cocker spaniels, springer spaniels, and poodles. Clinical signs of IMHA include pale mucous membranes, lethargy, exercise intolerance, and collapse. Examination shows pale mucous membranes, high heart rate (tachycardia), high respiratory rate (tachypnoea), bounding pulses, possible heart murmur. Diagnosis can be made by acquiring a minimum database of haematology, biochemistry and urinalysis, immunologic testing (agglutination testing and Coombs’ test).
  • Two of the following three would be indicative of IMHA: presence of spherocytes on blood smear, a positive saline agglutination test or a positive antiglobulin test (Coombs test or DAT), and one symptom of haemolysis including icterus, bilirubinuria, hyperbilirubinemia, hemoglobinemia, haemoglobinuria or ghost cells.
  • what is the most common bacteria seen in prostatitis in the dog?
    E.coli
  • Prostatitis is inflammation of the prostate gland, is relatively common in intact dogs, and occurs secondary to benign prostatic hyperplasia. Bacteria such as E coliStaphylococcusStreptococcus and Mycoplasma spp are often found, with E coli being the most common. 
  • Staphylococcus pseudointermedius is often the source of infection in pyodermas. 
  • A 10-year-old Giant Schnauzer is presented to you for unretractable coughing, restlessness and exercise intolerance. On examination, the dog is afebrile but markedly panting, mucous membranes appear pink. On auscultation, you note a prominent grade III-IV/VI left apical systolic murmur and a gallop. Auscultation of the lungs reveals bilateral harsh sounds. A bounding pulse is palpable over the femoral artery. You take thoracic radiographs. Which medication is most appropriate given the above diagnosis?
    high dose furosemide, ramipril and possible pimobendan
  • Ramipril is an ACE inhibitor that helps to reduce blood pressure and improve blood flow to the heart.
  • Pimobendan = positive inotrope and vasodilator
  • A 6-year-old, indoor-only, male castrated Maine Coon cat is presented to you for acute-onset of hindlimb pain and paresis. He has been increasingly lethargic and was dragging both back legs. you hear a left apical grade 3 systolic murmur and femoral pulses are bilaterally absent. The hindlimb toes are cold to the touch and the musculature of the hindlimbs feel firm to palpation. Lung auscultation is normal. What is the most likely diagnosis?
    thromboembolism in the aorta bifurcation due to HCM
  • What is the mechanism of action of propylene glycol, a toxin used in many household products, which can lead a dog into an acid-base disorder?
    Propylene glycol is metabolized to both D- and L- lactic acid, which can cause a metabolic acidosis.
  • Which is the most common auto-immune skin disease in cats?
    Pemphigus foliaceus
  • Which is the most specific diagnostic test for pancreatitis?
    measurement of pancreatic lipase immunoreactivity (PLI).
  • trypsin-like immunoreactivity is indicated for diagnosing exocrine pancreatic insufficiency
  • Cats are notably more sensitive to permethrin than dogs due to differences in their liver metabolism; they lack the enzyme glucuronosyltransferase that aids in metabolizing and detoxifying certain substances, including permethrin. When cats are exposed to products containing permethrin, whether through direct application or secondary exposure (such as grooming a recently treated dog), they can manifest a spectrum of clinical signs, ranging from mild twitching to severe, life-threatening seizures
  • in severe cases of permethrin toxicity in cats, IV methocarbamol is the primary treatment choice to alleviate painful muscle spasms and mitigate the risk of hyperthermia. Methocarbamol acts as a central muscle relaxant, which helps control the tremors and potential subsequent rise in body temperature. 
  • What is the definitive test for immune-mediated haemolytic anaemia (IMHA) in dogs, and how is a positive test indicated? 
    Coombs' test (direct antiglobulin test); agglutination of red blood cells
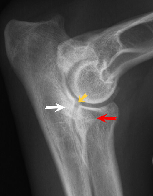
  • A 4-year-old male neutered Labrador is presented to you with ongoing bilateral forelimb lameness. He is otherwise healthy, and no other abnormalities were found on general clinical examination. Crepitus was felt on manipulation on both elbow joints. You decide to take radiographs of both elbow joints. What is the main disease process resulting in the forelimb lameness in this case?
    fragmented medial coronoid process
  • You are examining the mouth of a 7-year-old male neutered Pug at the start of the dental procedure. You mark the calculus of index tooth 404 as a grade 1. What best describes calculus index grade 1?
    0 to 25% calculus coverage of the tooth
  • Supplementation with what fatty acids can be beneficial for decreasing circulating inflammatory cytokine concentrations?
    Omega 3 fatty acid
  • A 2-year-old female domestic shorthair cat is brought to the clinic after suspected ingestion of paracetamol. The owner discovered an open bottle of paracetamol in the bathroom and found vomit in the living room. The incident likely occurred within the last 30 minutes. What is the most appropriate treatment for suspected paracetamol toxicity in this cat?
    Acetylcysteine, emesis and activated charcoal
  •  N-acetylcysteine is the antidote for paracetamol poisoning in cats
  • A ten-year-old female neutered Jack Russell terrier weighing 9.7kg was initially presented with a history of deteriorating vision and cloudy eyes of six months’ duration. There were good pupillary light and dazzle reflexes bilaterally. Menace responses were reduced due to a white colour lens opacity. Intraocular pressures in both eyes were within normal limits (10-25mmHg). what condition is most likely?
    cataracts
  • An 8 year old Doberman Pinscher has heart failure, what is the likely cause?
    dilated cardiomyopathy (DCM)
  • What would be the most appropriate antibiotic to use to treat a 3-year-old female neutered Border Collie who has been diagnosed with leptospirosis?
    Doxycycline
  • A 4-year-old female neutered domestic shorthair presents due to ongoing depression and lethargy. You decide to take a blood sample for haematology and biochemistry. What blood tube would you need to run a basic haematology?

    EDTA
  • A fluoride oxalate tube is used to collect blood samples for glucose testing
  • if the creatinine levels in the abdominal fluid are x3 that of peripheral blood = uroabdomen
  • Pimobendan was approved by the FDA in 2007 for treating CHF in dogs related to which two conditions?
    Atrioventricular valve insufficiency or dilated cardiomyopathy (DCM)
  • Which stage of mitral valve disease is characterised by the presence of a heart murmur and heart enlargement detected on echocardiogram, but no symptoms of congestive heart failure?
    Stage B2
  • You diagnose patella luxation in a 6 year old Yorkshire Terrier. The patella is permanently luxated, but you can manually push it back into the femoral trochlear sulcus. However, after manipulation, the patella luxates again. The severity of patella luxation is classified into 4 grades. How would you classify this case of patella luxation?
    grade 3
  • The “canine interlock” is a dental phenomenon in which the mandibular (lower) canine tooth fits into the diastema (gap) between the maxillary (upper) third incisor and the upper canine tooth in a way that prevents either jaw from overgrowing the other
  • What is the equation for calculating the resting energy requirement for dogs (medium size patient)?
    RER (kcal)= (bodyweight (kg) X 30) + 70
  • You’re working in a Small Animal Practice. A dog is confirmed to have a gastric dilatation-volvulus (GDV). Which arrhythmias are the most frequently seen in dogs with GDV?
    ventricular premature complexes and ventricular tachycardia
  • Benazepril inhibits angiotensin-converting enzyme (ACE), leading to vasodilation and reduced peripheral vascular resistance.
  • A 7-year-old male neutered Cocker Spaniel dog is presented to you after the owner reports progressive lethargy, inactivity, weight gain despite reducing the amount of food he is being given. On clinical examination you note that there is non-pruritic bi-lateral flank alopecia. Taking into account the most likely differential diagnoses for this case; which diagnostic test would be most appropriate to conduct to confirm your suspicion?
    T4 TSH ratio
  • What is the best diagnostic method for canine demodicosis?
    Deep skin scrape and hair plucks
  •  you diagnose a dog with primary hyperparathyroidism. What abnormality would you expect to see?
    Hypercalcaemia, hypophosphatemia
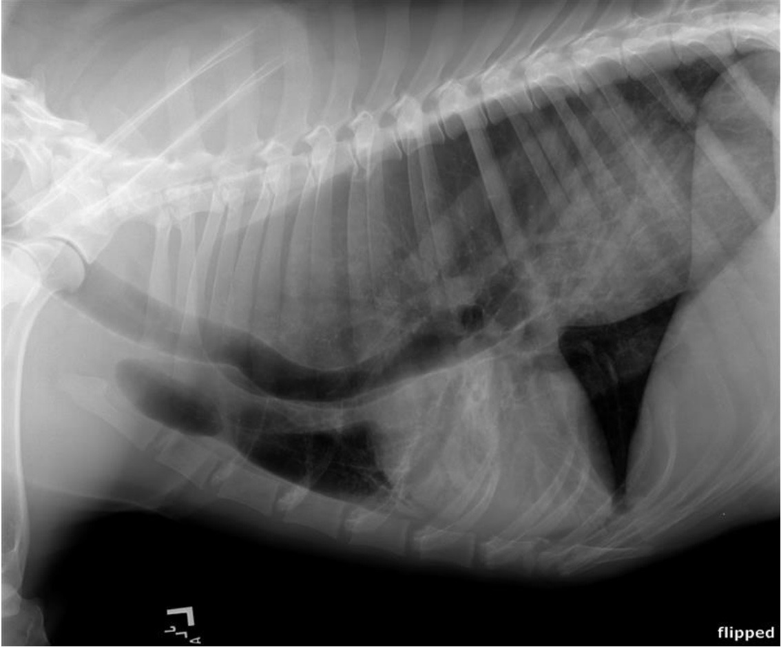
  • You’re working in a small animal practice. A 6-year-old German Shepherd male is presented due to ongoing vomiting and coughing over the last month particularly after meals. His owner reported that Max had been regurgitating undigested food shortly after eating, sometimes accompanied by coughing and retching. On clinical examination, rectal temperature, heart rate and respiratory rate were found within normal limits. You obtain thoracic radiographs, what is the most likely diagnosis? 
    megaoesophagus
  • A 6-year-old DSH cat is presented with a clinical history of anorexia and lethargy lasting two days. Upon physical examination, the following observations are made: • Body Condition Score: 8/9 • Mucous Membranes: Icteric (yellow) Laboratory biochemistry results indicate: • ALT (Alanine Aminotransferase): 320 U/L (Reference Range: 25-97 U/L) • ALP (Alkaline Phosphatase): 170 U/L (Reference Range: 0-45 U/L) • GGT (Gamma Glutamyl Transferase): 3 U/L (Reference Range: 0-6 U/L) Based on the presented clinical signs and laboratory findings, what is the most likely diagnosis?
    hepatic lipidosis
  • A 7-year-old FN Devon Rex is presented with paresis to both hindlimbs. MM are pink and moist with a CRT of < 2 seconds; heart rate is 180 bpm with strong and synchronous pulses digital pulses in the forelimbs but absent pulses in both hindlimbs; his respiratory rate was 40 breaths per minute with no abnormal sounds upon auscultation. Both her hind paws are ice cold to touch. No other abnormalities are noted on clinical examination. Thinking about the most likely differential diagnoses what would be the most appropriate treatment with a thrombolytic effect to start in this case?
    clopidogrel